南アルプス市藤田
売地
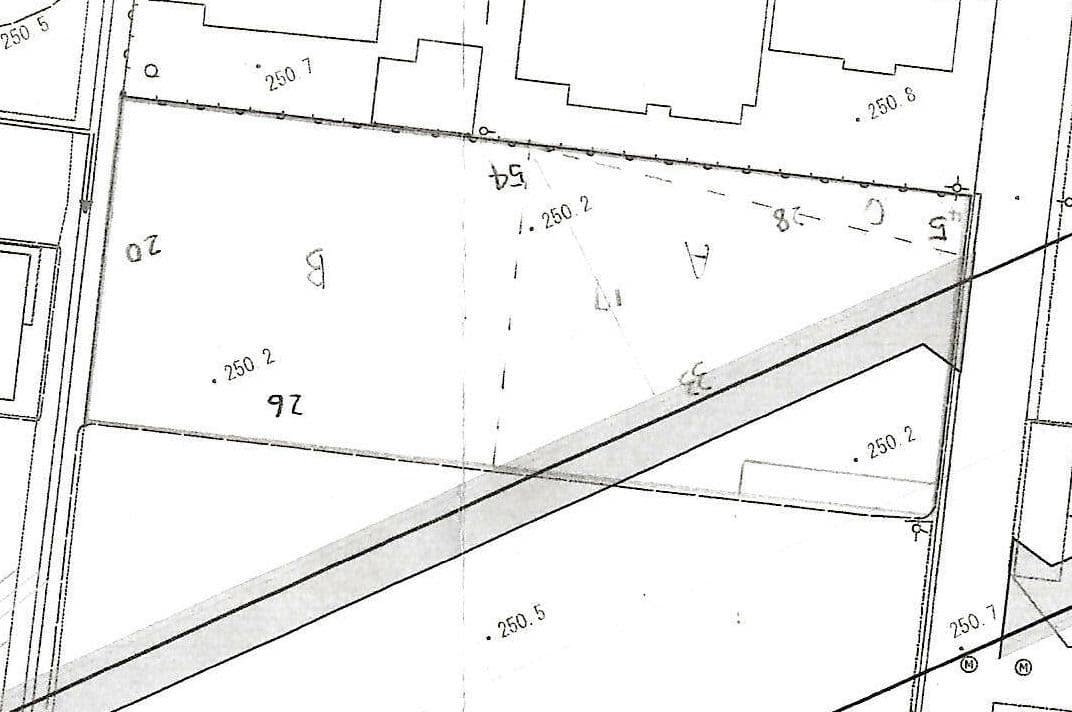
所在地 | 南アルプス市藤田1435-1 |
価格 | 750万円 |
交通の利便 | 藤田スポーツ公園バス停徒歩3分 |
土地面積 | 実測940.31㎡(284.44坪) |
用途地域 | 定無 |
地目 | 田 |
建蔽率/容積率 | 70/200 |
都計法その他の制限 | 景観法 農地法 |
設備 | |
学区 | 若草南小学校510m |
備考 | 分筆測量後引渡し(注面積の増減があります) リニアが隣接を通ります。 |
取引態様 | 媒介(仲介) |
情報登録日 | 2019年11月24日 |







下から資料ダウンロードできます。
物件概要 ⇒ info_sheet.pdf
株式会社サンホーム
山梨県甲斐市万才751番1
山梨県知事(12)第906号
(公社)山梨県宅地建物取引業協会会員
(公社)首都圏不動産公正取引協議会加盟